I record più bizzarri legati alla neve
I record più bizzarri legati alla neve Imbianca il paesaggio regalando atmosfere uniche, e talvolta…
I record più bizzarri legati alla neve Imbianca il paesaggio regalando atmosfere uniche, e talvolta…
Le Alpi sono sempre meno bianche in inverno, specie sotto i 2000 metri Analizzati i…
La zona intertropicale diventerà davvero inabitabile entro qualche decennio? Se non riusciremo a mantenere l’aumento…
Record storico della siccità in Europa nell’ultimo ventennio La scarsità di precipitazioni, che negli ultimi…
John Constable, il pittore delle scie chimiche ……. del 1800!!!! John Constable, il pittore delle…
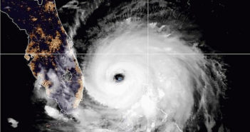
La stagione degli uragani atlantici comincia sempre più in anticipo, finendo sempre più tardi Uragani:…
Il cratere di Castiglione (Rm): una chiave per capire il clima del passato Laddove una…
Settimana invernale, tornano freddo e, localmente, la neve Diversi impulsi di aria gelida di origine…
La corrente del Golfo non è mai così debole negli ultimi 1000 anni Uno studio…
Ecco come il clima sta cambiando la montagna italiana L’incremento delle temperature e della velocità…
Svelati nuovi misteri geologici sotto il ghiaccio dell’Antartide Trieste partecipa al gruppo internazionale di lavoro…
Cambiamento climatico: entro il 2100 potremmo avere estati lunghe quasi 6 mesi Lo scenario elaborato,…
Le scoperte della scienza sul terremoto devastante che portò al disastro di Fukushima Il sisma…
La storia del Mediterraneo raccontata dalle conchiglie Le informazioni ottenute dalle conchiglie fossili recuperate sui…
Il new normal climatico: qual è la temperatura media al tempo del global warming? Il…
L’aumento dei tornado italiani è favorito dal mare caldo e dalle anomalie atmosferiche Al sud…
Ci vorrebbero più di 100 mila anni per elaborare, a mano, una previsione meteo a 3…
E’ davvero possibile un ritorno del freddo e della neve? Nelle proiezioni dei modelli si…
Ogni giorno ci sono circa 2 milioni di osservazioni globali del tempo. Perché? Un sistema…
I cambiamenti climatici modificheranno anche le onde dei mari I cambiamenti cui andrà incontro la…