Ancora brutte notizie: precipitazioni scarse o nulle per i prossimi 6-7 giorni
Ancora brutte notizie: precipitazioni scarse o nulle per i prossimi 6-7 giorni Scarse o addirittura…
Ancora brutte notizie: precipitazioni scarse o nulle per i prossimi 6-7 giorni Scarse o addirittura…
Il cambiamento climatico sta divorando i ghiacciai del Gran Paradiso! Stanno arretrando tutti quelli presenti…
Famiglia morta alla Solfatara: sequestrata l’intera area, situazione di pericolo Il provvedimento della Procura di…
Ecco perchè l’uragano Ophelia ha portato la pioggia nera in Estonia Scritto da Francesca Biagioli…
INGV: dichiarazione del Direttore dell’Osservatorio Vesuviano, Francesca Bianco, riguardo i “buchi nella rete che sorveglia…
Bufera sulla BBC: troppo spazio al negazionista climatico Lord Lawson senza contraddittorio Gli ascoltatori inferociti…
Nuova vampata estiva in quota sulle Alpi occidentali, zero termico alle stelle oltre 4000 Giovedì…
CAMPI FLEGREI. DIFFUSA UNA TELEFONATA DI DUE RICERCATORI: «I valori aumentano ma dicono che è…
I laghi salati della Terra rischiano di scomparire… anche se si sta tentando di fare…
Siccità per altri 7 giorni al Nord, settore centrale Tirrenico e Sardegna? Il nostro Modello…
Forte esplosione sullo Stromboli, poi tornato all’attività normale L’evento accaduto il 23 ottobre, ecco le…
Ritorno dell’ora solare: sono probabili iniziali disturbi psico-somatici Nella maggior parte delle persone i fastidi…
Che cosa è l’inversione termica? Perchè due località distanti soltanto 5 Km possono avere temperature…
Allarme dei Geomorfologi: in Italia «1.534 chilometri di costa sono in forte erosione» «L’equilibrio delle…
Dhanushkodi: la città fantasma indiana sprofondata nell’oceano e restituita dal mare 40 anni dopo! Una…
Creato il nuovo Atlante del “sotterraneo del Pianeta” È stata completata la mappatura delle placche…
Il boato del terremoto Fin dall’antichità è noto che tra i possibili effetti del terremoto si annoverano rumori…
Sono molti gli ex-uragani che negli ultimi anni hanno raggiunto l’Europa blog.meteogiuliacci.it E’ ancora fresco…
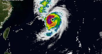
IL SUPER TIFONE LAN (cat. 4) MINACCIA IL GIAPPONE blog.meteogiuliacci.it Un violento ciclone tropicale, il…
Il fantastico video dei primi istanti di un’eruzione… ripresi da un drone! Un drone è…