Strabone, Plinio il Vecchio e il mistero delle isole scomparse
Strabone, Plinio il Vecchio e il mistero delle isole scomparse Quando Strabone visitò la nostra…
Strabone, Plinio il Vecchio e il mistero delle isole scomparse Quando Strabone visitò la nostra…
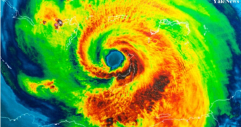
Nuove aree della Terra dovranno prepararsi, in futuro, ad essere colpite dagli uragani e i…
Arriva dal passato una lezione sulla pericolosità nel cambiamento dei livelli del mare Lo studio…
I “NO-Vax Meteo” delle previsioni meteorologiche Torniamo sulla diatriba riguardo l’affidabilità delle previsioni meteodi Mario…
INGV: ecco le mappe mensili della sismicità di dicembre 2021 Due gli eventi superiori a…
I tre forti terremoti del 4 marzo 2021 hanno messo alla prova la nuova rete…
Tifone Rai-Odette: più di 400 morti e 86 dispersi nelle Filippine Più di 500.000 sfollati…
Alaska: l’Icemageddon dopo il caldo record In Alaska il giorno di dicembre più caldo di…
Studiando il passato dell’Antartide, questo potrebbe essere più vulnerabile al riscaldamento globale Pubblicati sulla rivista…
Vedere al di sotto della calotta glaciale della Groenlandia attraverso il rumore della Terra Prodotte…
Con la Rete Sismica Urbana di Catania monitorati gli edifici storici durante il terremoto del…
Toccati i 19,4 °C in Alaska, la temperatura più alta mai registrata a fine dicembre…
Nel 2021 sono aumentati i disastri climatici estremi I 10 peggiori eventi con danni superiori…
Inverno finito e mai iniziato? Assolutamente no! Continueremo a insistere con le tendenze a 7-10…
Una nuova strategia per monitorare il collasso dei ghiacciai di Ellis Avallone/Scientific Americanwww.lescienze.it Le vibrazioni…
I dati di un radiotelescopio forniscono i primi indizi sull’origine dei fulmini Il meccanismo fisico…
Perché non dobbiamo sorprenderci dei terremoti nella Pianura Padana Perché non dobbiamo sorprenderci dei terremoti…
Come mai i modelli hanno cambiato in modo così radicale lo scenario meteo? Negli ultimi…
Temperature in aumento nell’ambiente periglaciale alpino Un recente studio dell’Istituto di ricerca per la protezione…
Gli incendi accelerano il collasso del permafrost nell’Artico Un solo incendio potrebbe accelerare la formazione…