SEISMOFAULTS: ora Terremoti, Faglie e Vulcani in fondo al mare li osserveremo da vicino
Al via SEISMOFAULTS 2017, progetto scientifico condotto da CNR, INGV e Sapienza Università di Roma
comunicazione.ingv.it
L’esplorazione dell’universo si espande ormai fino a Saturno e oltre, ma i fondali oceanici del nostro Pianeta, anche quelli più prossimi alle zone antropizzate, sono in genere sconosciuti. Eppure, tali fondali ospitano e celano vulcani e lunghe fratture della crosta (faglie) che possono essere all’origine di violenti terremoti, eruzioni, frane sottomarine e maremoti, mettendo a rischio la vita e il tessuto socio-economico nei vicini centri abitati.

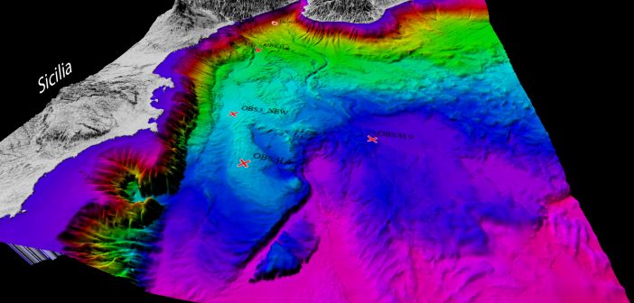
Figura 1: Mappa batimetrica dell’area oggetto di studio e posizioni degli 8 Ocean Bottom Seismometers and Hydrophones (OBS/H), dei 2 moduli geochimici multiparametrici (GeoC) e delle carote prelevate a fondo mare
Per esempio, la regione dello Stretto di Messina e il vicino Mar Ionio sono state le aree origine di importanti terremoti e maremoti nel corso degli ultimi secoli che hanno provocato morte e distruzione. Ricordiamo, tra gli eventi sismici catastrofici, quelli del 1908 (Messina e Reggio Calabria), 1905 (Calabria meridionale), 1783 (Calabria meridionale), 1693 (Val di Noto), 1169 (Sicilia orientale) e 362 d.C. (Sicilia orientale e Calabria meridionale). Solo nel 1908 le vittime furono più di 80.000. Le strutture sismo-tettoniche e morfologiche da cui hanno avuto origine i terremoti e i maremoti sopra menzionati sono ancora totalmente o parzialmente sconosciute.
Figura 2: Ocean Bottom Seismometers and Hydrophones (OBS/H) deposti nel mar Ionio durante la campagna oceanografica SEISMOFAULTS 2017 (11-23 maggio)
Dal maggio del 2017 un nuovo progetto scientifico (SEISMOFAULTS), firmato Consiglio Nazionale delle Ricerche (CNR di Roma e Bologna), Istituto Nazionale di Geofisica e Vulcanologia (INGV di Roma, Palermo e Gibilmanna) e Sapienza Università di Roma, si propone di monitorare ed esplorare da vicino le faglie sismiche del Mar Ionio e dello Stretto di Messina. Nel mese di maggio, durante la campagna oceanografica SEISMOFAULTS 2017, il team scientifico SEISMOFAULTS (CNR, INGV e Sapienza), con l’assistenza della nave Minerva Uno e del suo equipaggio marittimo gestito dalla Sopromar, ha installato sui fondali del Mar Ionio, a profondità fino a circa 2600 m, otto sismometri e due moduli con sensori geochimici. Gli strumenti sono molto vicini ai potenziali epicentri dei terremoti e registreranno i movimenti del suolo in caso di eventi sismici e le emissioni gassose del fondale ionico per circa 12 mesi. Al termine di tale periodo, gli strumenti verranno sganciati dalla zavorra che li tiene ancorati in fondo al mare con un comando acustico inviato dalla superficie del mare e saliranno per galleggiamento in superficie dove saranno recuperati per procedere a un eventuale riutilizzo altrove.

Figura 3: Moduli geochimici multiparametrici (GeoC) deposti nel mar Ionio
Con i nuovi dati raccolti, non solo sarà possibile individuare e definire le faglie potenzialmente origine di terremoti e tsunami catastrofici, ma anche raccogliere informazioni per lo studio di fenomeni precursori dei terremoti, come ad esempio anomalie nelle modalità del degassamento dai fondali marini, al fine di esplorare la prevedibilità dei terremoti. I due moduli geochimici di fondo mare sono stati installati proprio per quest’ultima finalità.
Il materiale scientifico e divulgativo è disponibile nel sito: www.seismofaults.it.

Figura 4: Fase di recupero dell’operazione di carotaggio
Link ai video
https://we.tl/AfnvON7PjE
https://we.tl/6jIOZwNcnj
https://we.tl/FClgSKVyS6
https://we.tl/crM0JmNUlL
https://we.tl/HKBY1P5vac