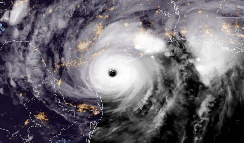
L’uragano Harvey approda sulle coste USA a cat.4!

0

L’uragano Harvey approda sulle coste USA a cat.4!

E’ approdato all’incirca alle 10 di sera americane (le 4 del mattino in Italia) a circa 48 chilometri a nord-est di Corpus Christi, tra Port Aransas e Port O’ Connor, portando con se’ venti fortissimi di 209 km/h e piogge devastanti.
www.ansa.it

Share.

Leave A Reply