L’Uragano Irma torna a Cat. 5: oggi l’impatto su Miami
La conferma dai satelliti di Nasa e Noaa che hanno misurato le sue temperature. Intanto sale il bilancio dei morti: siamo a 20 morti accertati
tratto da www.ansa.it
L’uragano Irma diretto verso la Florida ha riacquistato forza tornando a categoria 5 dopo essere stato declassato a categoria 4. Lo rende noto il National Hurrucane Center. L’allerta è stata inoltre estesa interessando anche il nord della Florida e non soltanto il sud dove si era fino ad ora concentrato l’allarme. La perturbazione si trova intanto a 300 miglia (485 chilometri) da Miami e viaggia a circa 13 miglia orarie (20 chilometri orari) in direzione ovest.
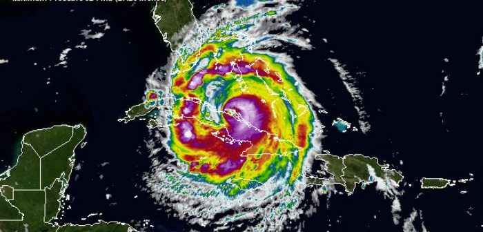
Sono i dati del Centro nazionale uragani (Nhc) degli Stati Uniti basate sulle immagini in diverse lunghezze d’onda inviate a Terra dei satelliti Aqua, della Nasa, e Suomi Npp, della Nasa e dell’Agenzia degli Stati Uniti per l’atmosfera e gli oceani (Noaa).
“Non ci sono ragioni ovvie perché Irma non rimanga un uragano potente nei prossimi 3 giorni, mentre si avvicina alla Florida. Irma dovrebbe mantenere la sua intensità finché non si avvicinerà alla terraferma, fluttuando tra Cat.4 e Cat.5”, commenta il metereologo Lixion Avila, dell’Nhc.

Le temperature registrate dai satelliti nelle nubi che accompagnano l’uragano sono di meno 81,3 gradi: più la temperatura delle nubi è bassa, più violenta è tempesta. E’ infatti “lo sbalzo termico tra la temperatura superficiale del mare, molto calda adesso, e quella in alto nell’atmosfera, a provocare i venti e le piogge fortissime dell’uragano”, spiega Paolo De Girolamo, dell’università Sapienza di Roma.
Di solito quando gli uragani si avvicinano alla costa calano di intensità. “Ma se anche la terra ha una temperatura superficiale alta, è possibile – aggiunge – che continui ad esserci lo sbalzo termico con l’atmosfera, e di conseguenza venti forti”.
Intanto il governatore dell’Alabama Kay Ivey ha emesso lo stato di emergenza in vista dell’arrivo dell’uragano Irma, previsto in Alabama e in Georgia per lunedì mattina. Sono attese forti piogge e forti venti e anche se sarà soltanto la coda di Irma ad abbattersi sull’Alabama che verrà risparmiato dall’impatto più forte, Ivey prevede che alcune conseguenze saranno inevitabili.
E’ di 20 morti il bilancio al passaggio del mega-uragano Irma. Si aggiungono alla tragica conta così quattro morti confermate nelle Virgin Islands britanniche mentre nove morti si sono registrati nelle isole di St. Martin e St. Barts che sono territorio francese, quattro nelle Virgin Islands territorio Usa e una rispettivamente nelle isole di Anguilla, Barbuda e nella parte olandese di St. Martin.

Le immagini dell’occhio dell’uragano Irma rilevate dal satellite Suomi Npp. In nero le nubi più fredde (fonte: NASA/NOAA/UWM-CIMSS, William Straka) © ANSA/Ansa