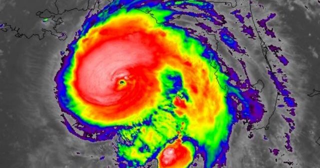
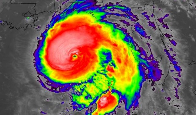
L’uragano Michael ha raggiunto Cat 4 e potrebbe scatenare una serie di Tornado in Florida
Michael sta per effettuare il landfall sulla costa del Golfo degli Stati Uniti con venti da 220 chilometri all’ora, evacuate almeno 100.000 persone in Florida
tratto da www.livescience.com
Dopo aver guadagnato forza durante la notte, l’uragano Michael diventerà una tempesta di intensità senza precedenti per la Florida nel momento in cui effettuerà il landfall, nella giornata del 10 ottobre
“Questa tempesta porterà un’ondata devastante sulla costa di Panhandle e di Big Bend in Florida e non è paragonabile a nulla che abbiamo mai visto prima”, ha detto l’ufficio di previsione del Servizio meteorologico nazionale di Tallahassee in uno warning poco dopo l’1 ora locale
Nelle zona della Florida Settentrionale, Georgia e Alabama potrebbero formarsi tornado prefrontali, visti i forti contrasti atmosferici causati dall’arrivo da sud ovest dell’Uragano

L’uragano Michael è diventato una tempesta di categoria 4 durante la notte, con venti da 220 km/h) econ raffiche ancora più forti. La tempesta sarebbe il più potente uragano a colpire gli Stati Uniti continentali quest’anno. Il governatore della Florida Rick Scott ha dichiarato lo stato di emergenza per 35 contee dello Stato prima che la “mostruosa” tempesta impatti sulle coste, e diramato ordine di evecuazione per oltre 100.000, secondo il Tampa Bay Times .
Alle 5 del mattino, Michael era a circa 130 miglia a sud-ovest di Apalachicola, in Florida, e si muoveva a circa 20 km/h, secondo un avviso del National Hurricane Center.
A differenza del lento uragano Florence, che ha impattato in North Carolina il mese scorso e ha scaricato quantità record di pioggia, l’uragano Michael si sta muovendo rapidamente. “La tempesta è in rapido movimento, quindi si prevede che le precipitazioni, in questo caso, saranno più modeste, ma comunque importanti e abbondanti,” ha detto Marangelly Fuentes, uno scienziato atmosferico del NASA Earth Observatory