Scoperta una catena montuosa vulcanica sottomarina in Tasmania, paradiso di biodiversità e regno delle megattere
Tratto da www.iflscience.com
E’ stata divulgata in questi giorni una mappa del fondo marino di una zona della Tastmania che mostra un vasto mondo subacqueo mai visto prima, brulicante di altopiani marini che ospitano un hotspot di biodiversità davvero incredibile, lo riferisce l’Organizzazione per la ricerca scientifica e industriale del Commonwealth (CSIRO).
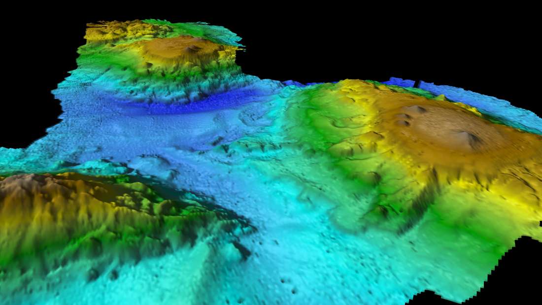
Una catena di montagne sottomarine vulcaniche è stata individuata 400 chilometri a est dell’isola della Tasmania durante un viaggio di ricerca durato 25 giorni a bordo dell’Investigator , l’unica nave australiana di ricerca marina. Il più alto dei monti sottomarini raggiunge i 3000 metri dal fondale marino, ma le cime delle vette sono quasi tutte 2.000 metri sotto la superficie dell’oceano.
“La nostra mappatura multibeam ha rivelato in dettaglio molto accurato, per la prima volta, una catena di montagne vulcaniche che si innalzano da una pianura abissale che è a circa 5000 metri di profondità”, ha detto in una dichiarazione la ricercatrice del CSIRO Tara Martin . “Le montagne sottomarine variano per dimensioni e forma, con alcune che hanno punte affilate, mentre altre hanno ampie cime pianeggiante, punteggiate da piccole colline coniche che sarebbero state formate dall’antica attività vulcanica”.
I dati raccolti dal team mostrano picchi di produttività degli oceani sul cluster sottomarino, probabilmente causati dal fitoplancton, dagli organismi vegetali unicellulari galleggianti e dai mammiferi marini che li alimentano. “Questo è un paesaggio molto vario ed è indubbiamente un hotspot biologico che supporta una gamma incredibile di vita marina”, ha detto Martin.
Il ricercatore Eric Woehler ha dichiarato di essere “sbalordito” dal numero di mammiferi e uccelli marini registrati nel corso della loro ricerca, che comprendeva quattro specie di albatro, quattro specie di procellaria e dozzine di balene.
