Mozambico: abusi sessuali in cambio di cibo dopo il passaggio del ciclone Idai

0

Mozambico: abusi sessuali in cambio di cibo dopo il passaggio del ciclone Idai

E intanto un nuovo ciclone, Kenneth, minaccia di devastare altre zone dello stato africano
www.greenreport.it

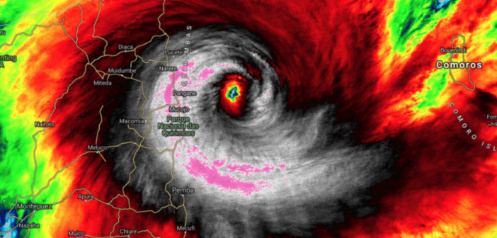
L’Onu e i suoi partner hanno rafforzato le misure di emergenza nel nord del Mozambico mentre sta arrivando quella che si annuncia un nuovo devastante ciclone, Kenneth, che ha già toccato terra ieri sera, poche settimane dopo che un altro ciclone, Idai, ha causato centinaia di vittime e allagato vaste aree del sud del Paese.

Il portavoce del Word food programme (Wpf/Pam), Herve Verhoosel, ha detto: «Ci aspettiamo che forti piogge provocheranno inondazioni improvvise e frane che colpiranno le province nord-orientali di Cabo Delgado e Nampula. Un’altra tempesta sarebbe un ulteriore colpo per il popolo del Mozambico e complicherebbe ulteriormente la risposta [umanitaria]in tutte le area. L’agenzia sta osservando da vicino l’avvicinarsi del sistema meteorologico nel nord e sta aiutando le autorità provinciali a prepararsi al peggio. E’ già presente un gruppo di valutazione congiunto del Wfp/International organization for migration (Iom)».

Il Wpf/Fao ha una sede nella città costiera di Pemba e ha circa 300 tonnellate di aiuti alimentari nelle città costiere settentrionali di Palma e Mocimboa da Praia, dove ha consigliato ai suoi partner delle organizzazioni umanitarie di «Preparare i magazzini per proteggere il cibo e superare la tempesta».

La World meteorological organization (Wmo) ha sottolineato che «Il Ciclone Kenneth è estremamente pericoloso» e che si prevede arrivi alla categoria 4 nelle aree costiere di confine tra Mozambico e Tanzania in un’area dove non sono mai stati segnalati cicloni da quando esistono i dati satellitari.

Intanto, centinaia di chilometri più a sud, dove il ciclone Idai 6 settimane fa ha devastato una grande area tra Mozambico, Zimbabwe e Malawi, è in corso una grande operazione di soccorso. Verhoosel ricorda che «Anche se le acque alluvionali si sono ritirate nella maggior parte delle aree, più di un milione di persone stanno lottando per rimettersi in piedi».

https://lh3.googleusercontent.com/zNSv10vtJQY6E0b6Gr2R-VQ23ZvRncj1ZLKUIoxRARMFeNlAVez-w1eZZA5KWB6ZfT8HkB_yGVlWsz1XUnBmog=s700

Intanto il Wpf/Pam condanna con forza gli episodi di sfruttamento sessuale e di abusi legati alla distribuzione di cibo per le vittime Idai venute alla luce nel distretto di Nhamatanda, nella provincia di Sofala. Verhoosel ha evidenziato che «Nessuno staff del Wfp o di qualsiasi agenzia Nazioni Unite o dei partner sul campo è coinvolto. Dopo aver appreso delle accuse, che riguardavano richieste di sesso in cambio di cibo, il Wfp ha avviato un’inchiesta immediata, intervistando le donne che affermavano di aver subito abusi. I componenti dello staff hanno sentito parlare di diversi casi di donne e ragazze alle quali è stato richiesto di fare sesso in cambio di cibo da parte di volontari della comunità che gestiscono distribuzioni di cibo. Nel tentativo di eliminare qualsiasi sfruttamento sessuale e abuso nei lavori di ripristino, il Wfp intende incontrare i rappresentanti del governo per mettere in atto misure di protezione “rafforzate” per i più vulnerabili. Le persone colpite dai presunti abusi riceveranno inoltre un sostegno aggiuntivo da parte delle agenzie delle Nazioni Unite, del governo e delle ONG, mentre i partner del Mozambico ricevono anche una formazione per informare le comunità – prima che gli aiuti vengano distribuiti, che riguarda chiunque possa essere soggetto a sfruttamento e abuso sessuale da parte dei partner governativi. Il Wfp non tollera molestie sessuali, sfruttamento o abuso sotto nessuna forma. E’ particolarmente scioccante se viene commesso contro coloro che serviamo e nelle comunità che serviamo. Tolleranza zero significa che non è accettata la cultura dell’impunità e del compiacimento per lo sfruttamento e l’abuso sessuale»

Share.

Leave A Reply