L’URAGANO LORENZO DIVENTA IL PIU’ POTENTE MAI REGISTRATO A QUESTE LATITUDINI E PUNTA VERSO LE AZZORRE
Nessun uragano di categoria 5 si era mai formato così a nord e così a est sull’Oceano Atlantico
tratto da www.iconanews.it
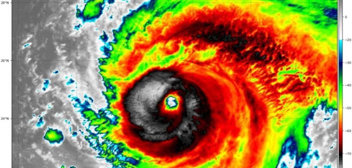
Lorenzo ha raggiunto la massima intensità possibile diventando un potentissimo uragano di categoria 5 entrando così nella storia: nessun uragano di categoria 5 si era mai formato così a nord e così a est sull’Oceano Atlantico. Raggiungerà l’Europa? Lorenzo, con tutta probabilità, non raggiungerà l’Europa come uragano ma, prima di impattare sull’Irlanda, verrà declassato a tempesta.
Lorenzo is now an extremely powerful category 5 hurricane. It is the strongest hurricane on record this far north and east in the Atlantic basin. pic.twitter.com/nUR5ugJws7
— National Hurricane Center (@NHC_Atlantic) 29 settembre 2019
Lorenzo ha raggiunto la massima intensità possibile diventando un potentissimo uragano di categoria 5 entrando così nella storia: nessun uragano di categoria 5 si era mai formato così a nord e così a est sull’Oceano Atlantico. Raggiungerà l’Europa? Lorenzo, con tutta probabilità, non raggiungerà l’Europa come uragano ma, prima di impattare sull’Irlanda, verrà declassato a tempesta.
La traiettoria porta Lorenzo verso l’Europa
Secondo le proiezioni attuali, l’uragano Lorenzo non andrà verso ovest ma virerà verso nord-est, verso l’Europa settentrionale.
Fonte NOAA
Nelle prossime ore la sua intensità potrebbe già diminuire: entro martedì 1 ottobre gradualmente passerà da categoria 5 a categoria 3. Le Azzorre verranno probabilmente colpite dall’uragano (cat. 1 o 2) tra martedì e mercoledì.
Nei giorni successivi, durante il suo tragitto verso nord-est, perderà ancora potenza: Lorenzo diventerà una tempesta poco prima di raggiungere l’Europa. Lorenzo potrebbe raggiungere l’Irlanda giovedì 3 ottobre sotto forma di tempesta con venti che potrebbero arrivare a 110 km/h.
«Quasi tutti gli uragani – spiega il nostro meteorologo Daniele Izzo – seguono un percorso che li porta verso ovest fino ai Caraibi, poi risalgono verso nord negli Stati Uniti e in seguito seguono le correnti che li spingono verso est, nel nord Atlantico. Durante la traversata si indeboliscono e arrivano soprattutto in qualità di perturbazioni extra-tropicali in nord Europa. Qualche volta mantengono una forza superiore e possono fare danni anche da noi».

«Lorenzo, invece di dirigersi verso ovest, ha già iniziato a deviare la sua traiettoria verso nord e, in seguito, dovrebbe dirigersi vero est. La sua deviazione però sta avvenendo molto presto rispetto al punto in cui è nato e ciò lo rende interessante». «Se anche dovesse mantenere le caratteristiche di tempesta tropicale sarebbe comunque un evento eccezionale», conclude.
