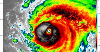
Si aggrava il bilancio del Super tifone Hagibis in Giappone: almeno 35 morti e 20 dispersi
Si aggrava il bilancio del Super tifone Hagibis in Giappone: almeno 35 morti e 20…
Si aggrava il bilancio del Super tifone Hagibis in Giappone: almeno 35 morti e 20…
Dallo studio degli eventi sismici di Amatrice-Norcia e Kunamoto, un sistema per comprendere se la…
Ecco come si sono “ridotti” i ghiacciai del Monte Bianco in 100 anni Il confronto…
Ovidio, Enotrio e Diamante, i vulcani sottomarini di fronte alla costa Cosentina, in Calabria La…
L’erosione della banchisa antartica arriva dal basso In Antartide, l’acqua più calda che arriva dall’oceano…
Exe Flegrei 2019: tutto pronto per l’esercitazione nazionale sul rischio vulcanico È tutto pronto a…
Protezione Civile: esercitazione TSUNEXTT per rischio maremoto nella Provincia di Latina Prima esercitazione sul rischio…
Negli ultimi 50 anni i disastri naturali sono moltiplicati … e ora ci presentano il…
Le ondate di caldo potrebbero aumentare di intensità e durata entro la metà del secolo…
Il Super Tifone Hagibis ha raggiunto cat. 5 e punta verso il Giappone Il tifone…
Per 78 volte c’è stata un’inversione ‘superveloce’ dei poli magnetici della Terra Le inversioni sono…
Sono sempre più le nostre discariche: ecco le mappe che esplorano l’inquinamento di mari e…
Gli tsunami possono essere collegati alla diffusione di malattie fungine mortali? Il grande tsunami del…
Dodici mesi intrappolati fra i ghiacci per studiare l’accelerazione della fusione del Polo Nord Un…
D28, il più grande iceberg degli ultimi 50 anni, si è staccato dall’Antartide (ma era…
Se si fermasse la Corrente del Golfo, cosa accadrebbe al clima dell’Europa? La Corrente del…
Le piccole isole del Pacifico lanciano l’allarme sul fronte dei cambiamenti climatici estremi (VIDEO) Jason…
Censiti oltre 65.000 laghi creati dalla fusione dei ghiacci sulla calotta glaciale dell’Antartico… e questo…
Scoperto un continente perduto nel Mediterraneo, rimasto nascosto ai nostri occhi per milioni di anni…
L’URAGANO LORENZO DIVENTA IL PIU’ POTENTE MAI REGISTRATO A QUESTE LATITUDINI E PUNTA VERSO LE…