I “dicchi” dell’Etna!
I “dicchi” dell’Etna! Un nuovo approccio per predire lo sviluppo e la propagazione delle fessure…
I “dicchi” dell’Etna! Un nuovo approccio per predire lo sviluppo e la propagazione delle fessure…
ECCO IL VIDEO DELL’URAGANO IRMA CHE ENTRA ALL’INTERNO DELLA CITTA’ DI MIAMI! L’acqua dell’Oceano ha…
Scosse di terremoto: ecco quanti (tanti) calcoli ci vogliono per definire la magnitudo Si va…
Le incredibili immagini dell’uragano IRMA in 3D (VIDEO) www.ansa.it Dopo quelle scattate dai satelliti ottici,…
CHE COSA INDICA PRECISAMENTE UN’ALLERTA ARANCIONE DELLA PROTEZIONE CIVILE? Ogni volta che accade una tragedia…
La Tanzania vuole salvare il lago Tanganika dagli impatti del cambiamento climatico Chiesto un finanziamento…
6 morti e 3 dispersi per un nubifragio nel Livornese. Allerta rossa in Liguria e…
Cambiamenti climatici: quel 3% di studi che li negano è sbagliato Oltre il 97% delle…
Nel Medioevo faceva (forse) più caldo di ora? E se il riscaldamento globale non fosse…
ESA: usati i dati satellitari per monitorare la siccità che ha colpito l’Italia Tratto da…
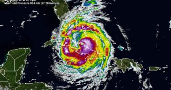
L’Uragano Irma torna a Cat. 5: oggi l’impatto su Miami La conferma dai satelliti di…
Il Tibet è diventato più umido e più caldo negli ultimi 40 anni! Piove di…
L’impatto della deforestazione sui cambiamenti climatici è doppio rispetto a quanto si credeva Il mix…
8 SETTEMBRE 1905: UN DEVASTANTE TERREMOTO DI MAGNITUDO 7.1 COLPISCE LA CALABRIA A cura di…
Ecco 6 terrificanti motivi per temere che Miami potrebbe “non sopravvivere” all’uragano Irma L’impatto sulla…
La Protezione civile avverte: «E’ necessario prepararsi per affrontare il maltempo autunnale» Raccomandazioni specifiche nelle…
URAGANO IRMA, SERVIRA’ UNA NUOVA CATEGORIA PER CLASSIFICARLO? L’uragano Irma si avvicina agli Usa con…
Risolto il mistero del più terribile evento di riscaldamento globale della storia Di Robin Andrews…
Il riscaldamento globale infiamma il Mediterraneo: mai così da 500 anni CNR: Nel Mare Nostrum…
L’URAGANO IRMA E’ DIVENTATO CAT. 5 E POTREBBE ESSERE CATASTROFICO PER MOLTE ZONE DEI CARAIBI…