SI CHIAMA TEMPESTOLOGIA : E’ LA NUOVA E CURIOSA DISCIPLINA SCIENTIFICA
SI CHIAMA TEMPESTOLOGIA : E’ LA NUOVA E CURIOSA DISCIPLINA SCIENTIFICA blog.meteogiuliacci.it Non tutti sanno…
SI CHIAMA TEMPESTOLOGIA : E’ LA NUOVA E CURIOSA DISCIPLINA SCIENTIFICA blog.meteogiuliacci.it Non tutti sanno…
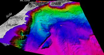
SEISMOFAULTS: ora Terremoti, Faglie e Vulcani in fondo al mare li osserveremo da vicino Al…
Tragedia in Portogallo: almeno 62 morti in un gigantesco incendio boschivo nella regione di Leiria,…
USA: Una città intera sta affondando a causa del cambiamento climatico! E’ l’Isle de Jean…
I chiarimenti dell’INGV sull’errore tecnico verificatosi la mattina del 15 giugno 2017 comunicazione.ingv.it La mattina del…
Desertificazione e siccità, le nuove catastrofi naturali. In 40 anni raddoppiate le persone a rischio…
Cicloni Tropicali: ecco i sistemi meteo che seminano più morte e distruzione Ma la loro…
Cambiamento climatico: In Italia rischia di causare anche un aumento delle frane I geomorfologi italiani:…
Allarme fiume Po: il livello sceso a -2,56 metri. Coldiretti: l’Italia è a secco Tropicalizzazione…
Forte Siccità in atto ormai da 6 mesi su molte regioni dell’Italia. Ecco il confronto…
Ondata di caldo: ecco le giornate più roventi con massime tra 34 e 37 gradi.…
«La catastrofe del Lago d’Aral dimostra che gli uomini possono distruggere il pianeta» Guterres (Onu):…
IL SUONO PIU’ FORTE MAI ASCOLTATO NEL MONDO: L’URLO DEL KRAKATOA! Era il 27 agosto…
Terremoti profondi in Italia: stanno davvero aumentando? Nella regione italiana la maggior parte dei terremoti…
NO, NON C’E’ STATA ALCUNA SCOSSA DI Ml 3.1 DOMENICA 11 GIUGNO 2017 NELLA ZONA…
Il clima oltre Trump, e quelle 11,6 miliardi di tonnellate di CO2 di troppo Ronchi:…
Le cause naturali con accertata influenza sul Global Warming antropico, potranno attenuarlo nei prossimi 10-20…
Trovato un piccolo volatile imprigionato nell’ambra da 100 milioni di anni! Si chiama Belone, l’uccellino…
La causa più frequente di annegamento al mare: le correnti di risacca. Video Ecco come…
Nel mantello della Terra c’è tanta acqua quanto quella contenuta da tutti gli oceani Di…