Oltre 1800 morti per l’epidemia di Ebola che sta dilagando in Congo
Oltre 1800 morti per l’epidemia di Ebola che sta dilagando in Congo Terzo caso nella…
Oltre 1800 morti per l’epidemia di Ebola che sta dilagando in Congo Terzo caso nella…
Gli ambientalisti sono considerati “Nemici dello Stato” nelle Filippine e America Latina (VIDEO) Come governi…
Aumenta la deforestazione in Amazzonia e cresce la violenza contro i Popoli Indigeni www.greenpeace.org L’estrazione…
Più di 3 milioni di bambini a rischio per le alluvioni in India, Bangladesh e…
Oms: dichiarata emergenza internazionale per epidemia di Ebola nella Repubblica Democratica del Congo Un’epidemia ignorata…
Useremo i Droni per scovare le mine antiuomo Sciami di droni per mappare la posizione…
Ci sono satelliti della Nasa che prevedono le carestie… osservando la siccità Osservare la siccità…
La strage delle donne indigene dell’Amazzonia che continua nel silenzio generale In Amazzonia si sta…
Oltre mille morti per epidemia di Ebola in Congo OMS: “L’epidemia continua in modo intenso” …
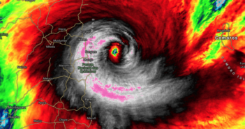
Ciclone Kenneth: devastato il nord del Mozambico e le Comore, è nuova emergenza dopo Idai…
Mozambico: abusi sessuali in cambio di cibo dopo il passaggio del ciclone Idai E intanto…
I cambiamenti climatici aumentano le disuguaglianze economiche L’aumento delle temperature globali accresce le disuguaglianze tra…
Confermata la condanna a 33 anni e 148 frustate per l’avvocatessa iraniana Nasrin Sotoudeh Alla…
Cambiamenti climatici: più di 19 milioni di bambini del Bangladesh a rischio I profughi climatici…
Almeno 1.106 bambini uccisi in Siria solo nel 2018, la guerra dimenticata Unicef: la guerra…
Leader indigeno Tukano massacrato e ucciso davanti alla famiglia in Amazzonia Tempi bui per i…
Ecco l’assurda usanza delle spose bambine costrette a ingrassare per trovare marito Avviene in Mauritania,…
Missionario entra nel territorio di una tribù incontattata in Brasile e la mette in pericolo…
La tratta di esseri umani è sempre più orribile. Quasi un terzo delle vittime sono…
Straordinaria catena umana di 620 km in India contro il divieto di accesso alle donne in…