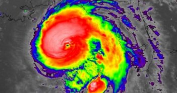
L’Uragano Leslie sta per impattare sulle coste della penisola Iberica
L’Uragano Leslie sta per impattare sulle coste della penisola Iberica. E anche Michael potrebbe colpire…
L’Uragano Leslie sta per impattare sulle coste della penisola Iberica. E anche Michael potrebbe colpire…
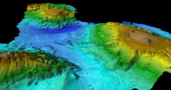
Scoperta una catena montuosa vulcanica sottomarina in Tasmania, paradiso di biodiversità e regno delle megattere…
FORTE ONDATA DI CALDO NEL NORD EUROPA E REGIONI ARTICHE NEL PROSSIMO WEEKEND Si prevedono…
Un’enorme iceberg sta per staccarsi dal ghiacciaio di Pine Island in Antartide tratto da www.livescience.com…
I danni economici legati alle catastrofi climatiche sono il 151% in più in 20 anni…
Nasce Geologia Pop Università, un progetto interattivo complementare all’università, per sapere cosa fare una volta…
L’uragano Michael potrebbe portare le alghe tossiche della “marea rossa” a contatto con migliaia di…
L’Etna starebbe scivolando lentamente verso il mare L’avvertimento degli scienziati in uno studio è che…
Dispersa una donna nel cagliaritano e una cinquantina di persone evacuate. Allerta anche in Liguria…
Clima: mezzo grado in più potrebbe cambiare il mondo Gli scienziati del CNRS spiegano cosa…
Maiorca: almeno 9 morti e sei dispersi per le inondazioni dovute alle piogge torrenziali (VIDEO)…
L’uragano Michael ha raggiunto Cat 4 e potrebbe scatenare una serie di Tornado in Florida…
I gas serra influenzano anche l’alta atmosfera? di Loredana Perrone ingvambiente.wordpress.com Alla fine degli anni…
IPCC: c’è bisogno di cambiamenti drastici per evitare la catastrofe climatica Secondo l’ultimo rapporto quinquennale…
L’eruzione del Vesuvio potrebbe aver ucciso le persone vaporizzandone il sangue all’interno del corpo Uno…
Uragano Michael, stato di emergenza in Florida e Alabama L’uragano, Cat. 3, dovrebbe effettuare il…
La NASA sta cercando di capire come poter controllare e prevenire l’eruzione di un Supervulcano…
Raro Arcobaleno “Quintuplo” immortalato da un fotografo nel New Jersey tratto da www.livescience.com Fotografando un…
Tettonica a placche: il mistero delle placche stagnanti Perchè accade anche che intere zolle terrestri,…
Sulawesi: il bilancio sale a 1571 morti e forse ci sono 1000 dispersi! Il bilancio…